By Julie D’Aloiso
Ambassadors Football President Jonathan Ortlip talks with Macedonia Mayor Joseph Migliorini about the project and it’s impact on the community.
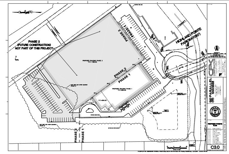
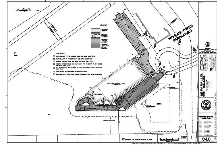
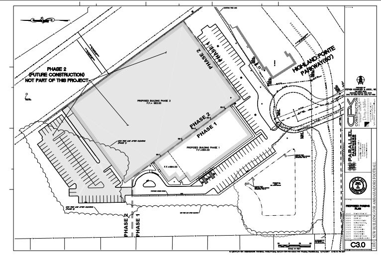
The shovels were dug into the earth while the crowd cheered on. This ground breaking event “kicked off” the Ambassadors Football Facility. The construction that is underway is phase 1 of the project, which is going to be a 23,000 sq ft practice area connected to a 4000 sq ft office space. Phase 2 which is planned for three years or so down the line, will be a 115 sq ft indoor soccer arena.
Jonathan Ortlip read a few bible passages. One in particular encourages us to want the welfare of the good of the area. They want this facility to blend in with the other industrial structures in the area and according to a memorandum of understanding with the City of Macedonia, local residents will have some use of the facility.

Board president Gary Greenway (also a soccer dad) wanted to thank Huntington Bank, Doty Miller Architects and Rothenbuhler Cheese Makers. He is honored to be part of a team and the world class soccer facility being built will be center for hope and caring for all the people that pass through the doors.
In discussions with Jonathan Ortlip, President of Ambassadors Football, their biggest challenge besides the landscape was the financing. Renee Booher helped tremendously with those challenges and pulled everyone together.
Chris Kontur president of CPK told the crowd that his wife Patty Kontur works for Ambassadors and brought Chris into the project. According to Chris the team spent over 1000 of hours of preparation and planning to make this happen. It was his job to capture the vision of Jonathon Ortlip and turn the dirt into brick and mortar.

They plan on having the facility enclosed before winter and completed sometime in February of 2018. On February 4th the Macedonia City Planning Commission approved the plans. According to the minutes from the February 11th city council meeting, “everything the residents who live adjacent to the complex have asked for by why of privacy fencing, storm water, aesthetic appearance has been included in the project plans.”

Here is an early video from last year that shows the construction project DAY 1.
These two images show how phase 1 and phase 2 are connected.
This is an image from Google Maps that show the area which is at the end of Highland Point Parkway in Macedonia.



































